上尾市瓦葺

価格 2,500万円

1/2

物件番号「45293」をお伝えください。

電話でお問合せ

物件情報

価格 2,500万円
種別 【不動産 / 土地】
種目 売地
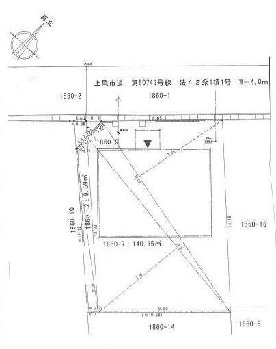
物件名 上尾市瓦葺1860-7
土地面積(坪) 45.29坪
接道(全て) 北西 4m(幅員) 公道 9m(接面)
コメント 上尾市瓦葺の土地

★さいたま市隣接エリア

★東大宮駅徒歩8分

★土地45、29坪
不動産周辺状況  マルエツ大宮砂町店…680m マルエツ大宮大和田店…735m フードガーデン七里店…1400m

 オサム歯科医院…30m 今中眼科医院…340m 大和田病院…400m

 大和田幼稚園…260m モンテッソーリあかねこどものいえ…260m
住所1
上尾市瓦葺 地図
住所2 1860-7
交通 JR宇都宮線・湘南新宿ライン・上野東京ライン 東大宮駅まで 徒歩8分
バス停名
用途地域1 第一種低層住居専用地域
建ぺい率1 50%
容積率1 80%
地目 宅地
土地権利 所有権
都市計画 市街化区域
現況 建物有
セットバック面積
坪単価 55.19万円
小学校区(距離) 瓦葺小学校 1,000m
中学校区(距離) 瓦葺中学校 1,800m
国土法届出 不要
取引態様 専属専任媒介
引渡時期 相談
建築条件 条件無
※掲載されている物件データが現状と異なる場合は現状を優先します。

更新情報

情報更新日 2026年03月03日
次回更新予定日 2026年03月04日
取引条件有効期限 2026年03月03日

ローンシミュレーション

物件価格 2,500万円
頭金 万円
金利
借入期間
再計算
月々の返済額
年間の返済額
返済総額
利息合計
※ 毎回の返済額が開始から終了まで均等となる「元利均等返済」で算出しています。
※ 金利は期間中固定となる固定金利を採用しています。
※ 月々の返済額は小数点以下を繰り上げしております
※ シミュレーションでの結果は、あくまでも目安で、概算になります。実際にローン契約をする際は、詳細を金融機関にご確認ください。
※ 実際のローン契約時には諸費用・税金(手数料や印紙税、保証料など)が別途かかりますので、契約の際にご確認ください。

物件番号「45293」をお伝えください。

電話でお問合せ
電話でお問合せ メールでお問合せ
簡易お問合せ

お名前


メールアドレス


問合せ内容


OK