物件番号:Bk44426 物件詳細


間取1
間取2
写真1
写真2
写真3
写真4
写真5
写真6
写真7
写真8
写真9
★★★物件情報★★★
駅名1:桶川駅 停歩14分
駅名2:北上尾駅 徒歩14分
住所:上尾市上
種目:新築一戸建て
価格:4180万円
間取:4LDK
間取詳細:
建物面積:107.64平米 (32.56坪)
土地面積:147.77平米 (44.7坪)
築年月:R08/05 ( 未完成 )
階:地上2階建
構造:木造
接道:南東 6m(幅員) 私道 3m(接面)
セットバック:
用途地域:第一種低層住居専用地域
国土法届出:不要
借地料:
諸費用:
取引態様:仲介
確認日:2025/12/08
次回確認予定日:2025/12/15
特色:公営水道、公共下水、都市ガス、【築年】 建築中、南道路、駐車場2台以上、住宅性能評価書取得(予定)、10年保証、フラット35対応、浴室乾燥機、ウォッシュレット付トイレ、シャワー付き洗面化粧台、システムキッチン、TVモニター付インターホン、耐震・免震構造、ウォークイン・クローゼット、上
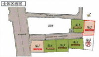
コメント:上尾市上の新築一戸建て。全7区画の分譲地。


掲載されている物件データが現況と異なる場合は現況を優先します。

★★★会社情報★★★
ハーバルホーム株式会社
メール問い合わせ(推奨)
上記リンクでうまく行かない場合は↓
メール問い合わせ
電話問い合わせ
FAX番号:048-770-1186

物件一覧へ戻る

R07年12月8日
20時31分 更新
次回更新予定日:12月9日上尾の売買不動産 毎日更新!