|
||||||
| 種目 | 物件名 | 土地面積 | 坪単価 | 引渡時期 | 土地権利 | |
|---|---|---|---|---|---|---|
| 売地 | 【不動産 / 土地】 上尾市瓦葺1860−7 |
149.74m2(45.29坪) | 55.19万円 | 相談 | 所有権 | |
【不動産 / 土地】上尾市瓦葺1860−7
上尾市瓦葺の土地
★さいたま市隣接エリア
★東大宮駅徒歩8分
★土地45、29坪
| 物件番号 | Bt45293 | |||||||||||||||||
|---|---|---|---|---|---|---|---|---|---|---|---|---|---|---|---|---|---|---|
| 物件名 | 上尾市瓦葺1860−7【不動産 / 土地】 | |||||||||||||||||
| 価格履歴 | ||||||||||||||||||
| 種別 | 売土地 | 地目 | 宅地 | |||||||||||||||
| 坪単価 | 55.19万円 | 建築条件 | 条件無 | |||||||||||||||
| 住所1 | 上尾市瓦葺 | 住所2 | 1860−7 | |||||||||||||||
| 交通 | JR宇都宮線・湘南新宿ライン・上野東京ライン 東大宮駅まで 徒歩8分 | |||||||||||||||||
| バス便 | / 分 | |||||||||||||||||
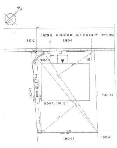
| 土地面積 | 149.74m2(45.29坪) | セットバック面積 | ( ) | |||||||||||||||
| 私道面積 | -(-) | 地勢 | 平坦 | |||||||||||||||
| 接道 | 北西 4m(幅員) 公道 9m(接面) | |||||||||||||||||
| 都市計画 | 市街化区域 | 国土法届出 | 不要 | |||||||||||||||
| 用途地域1 | 第一種低層住居専用地域 | 建ぺい率1 / 容積率1 |
50% / 80% | |||||||||||||||
| 用途地域2 | 建ぺい率2 / 容積率2 |
/ | ||||||||||||||||
| 学区(小学校) | 瓦葺小学校 1000m | 学区(中学校) | 瓦葺中学校 1800m | |||||||||||||||
| 現況 | 建物有 | |||||||||||||||||
| 取引様態 | 専属専任媒介 | 引渡時期 | 相談 | |||||||||||||||
| 取引条件有効期限 | 令和08年3月6日 | |||||||||||||||||
| 特色 | 【不動産 / 土地】 上尾市瓦葺1860−7 : 公営水道、建築条件なし、建物あり、公共下水 | |||||||||||||||||
| 周辺環境 | 【不動産 / 土地】 上尾市瓦葺1860−7 |
|||||||||||||||||
|
ローンを組むにあたり、月々の返済額をシミュレーションします。
|
||||||||||||||||||
【不動産 / 土地】上尾市瓦葺1860−7
地図
|
地図を右クリックでルート検索が可能です。
|
位置情報に関するご注意:現在位置情報は可能な限り正確に入力致しておりますが、
仕様等により表示が正確ではない場合があります。
あくまでもご参考となさって頂けましたら幸いです。
![]()
- 【不動産 / 土地】
上尾市瓦葺1860−7
へのお問い合わせは
ハーバルホーム株式会社
- TEL:048-770-1188
- FAX:048-770-1186
- >>関連の沿線・駅名から検索
- 物件一覧 -- JR宇都宮線・湘南新宿ライン・上野東京ライン 東大宮駅 -- 間取一覧 -- 写真一覧 -- まわりの様子(地図から探す) -- まわりの様子(各種施設情報のみ)
- >>関連の上尾市:エリア別物件一覧から検索
- 上尾市:エリア別物件一覧 -- 上尾市
JR 宇都宮線・湘南新宿ライン・上野東京ライン
東大宮駅エリア 売土地 -- 間取一覧 -- 写真一覧 -- まわりの様子(地図から探す) -- まわりの様子(各種施設情報のみ)

・・・新着3日以内
・・・新着2週間以内
・・・価格変更1ヶ月以内


