★こちらは上尾市における【土地】の販売事例集です。★
売れてしまった物件の情報って、なかなか調べられないものです。
便利ですので、是非ご活用下さいませ。
不動産(マンション・一戸建て・土地など)を
売りたいとき、買いたいとき、
物件価格/相場の目安として是非ご活用ください。
こちらではすでに成約してしまった物件について
販売事例として掲載しております。
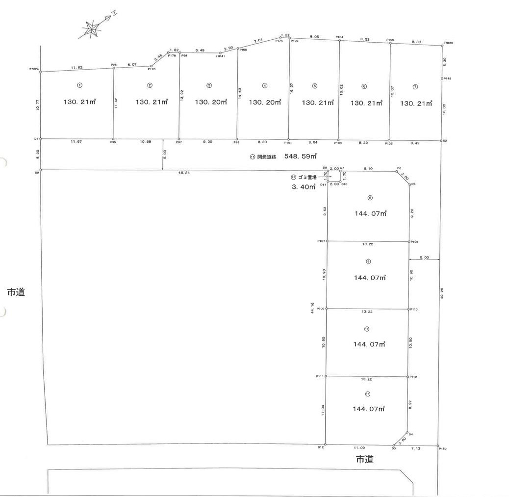
上尾市上: 39.38坪
Bt23065
物件所在地:上尾市上


坪単価 :44.68万円
土地面積 :130.2㎡(39.38坪)
用途地域 :第一種低層住居専用地域
建ぺい率 :60%
容積率 :100%
接道状況 :一方
南東 5m(幅員) 開発道路
特色 :公営水道、公共下水、都市ガス、電気、建築条件なし、上、側溝、南道路
コメント :上尾市上の土地
★全11区画の大型分譲地!
★南東道路につき陽当たり良好!
★上平小学校徒歩10分
★しらこばと保育所徒歩2分(約120m)
★つつみ幼稚園徒歩9分(約650m)
★ビバホーム 上尾店徒歩4分(約290m)
★商業施設や飲食店多数あり生活便利!
★造成後のお引渡しです(上下水道・都市ガス・区割りブロック施工)
★水道分担金として別途220,000円(税込)がかかります
★分筆前につき、敷地面積に若干の差異が生じる場合があります
上尾市上エリアで現在販売中の売地を調べたいならこちら
上尾市上の売地
最終物件確認日:価格
2020/11/06 : 1,760万円
★オーナー様へ 「気を付けましょう!どんどん広告して欲しいのに不動産業者が勝手に広告を制限している場合があります」★
参考として成約前に確認できた最終価格を表示しております。
価格交渉などがあった場合、
記載された金額とは異なる場合がございますのでご了承くださいませ。
上尾市の不動産相場を、土地の広さで比べたい方は、
下記「表で探す」をご活用ください。
ハーバルホーム株式会社
所属団体
(公社)全日本不動産協会
(公社)不動産保証協会
(公社)首都圏不動産公正取引協議会
〒362-0001 埼玉県上尾市上76-6
フリーダイアル 0120-38-8086(さぁ ハーバル)
E-mail info@herbal-home.net
免許証番号 埼玉県知事免許(2)第22277号


















































