★こちらは上尾市における【土地】の販売事例集です。★
売れてしまった物件の情報って、なかなか調べられないものです。
便利ですので、是非ご活用下さいませ。
不動産(マンション・一戸建て・土地など)を
売りたいとき、買いたいとき、
物件価格/相場の目安として是非ご活用ください。
こちらではすでに成約してしまった物件について
販売事例として掲載しております。
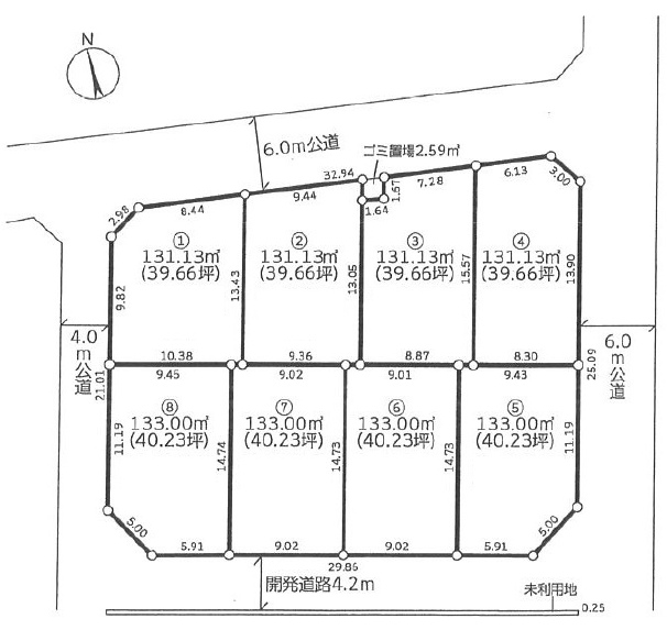
上尾市井戸木3丁目: 40.23坪
Bt19931
物件所在地:上尾市井戸木3丁目


坪単価 :51.69万円
土地面積 :133㎡(40.23坪)
用途地域 :第一種低層住居専用地域
建ぺい率 :50%
容積率 :100%
接道状況 :一方
南 4.2m(幅員) 開発道路 9.02m(接面)
特色 :公営水道、公共下水、都市ガス、建築条件なし、電気、側溝
コメント :上尾市井戸木の土地
★桶川駅徒歩18分
★大石北小学校徒歩8分
★ベニバナウォーク桶川徒歩14分
★地蔵公園目の前!
★全区画39坪以上
★司法書士は売主指定
★5~8区画の南にこれから開発道路が入る計画です
★井戸木の1~2丁目の土地は売却がかなり少ないため、3丁目駅徒歩18分は桶川駅至近の上尾市エリアとしてはほぼ最寄りと考えて良いでしょう地蔵公園に隣接した素敵な分譲地です
上尾市井戸木3丁目エリアで現在販売中の売地を調べたいならこちら
上尾市井戸木3丁目の売地
最終物件確認日:価格
2020/03/13 : 2,080万円
★オーナー様へ 「気を付けましょう!どんどん広告して欲しいのに不動産業者が勝手に広告を制限している場合があります」★
参考として成約前に確認できた最終価格を表示しております。
価格交渉などがあった場合、
記載された金額とは異なる場合がございますのでご了承くださいませ。
上尾市の不動産相場を、土地の広さで比べたい方は、
下記「表で探す」をご活用ください。
ハーバルホーム株式会社
所属団体
(公社)全日本不動産協会
(公社)不動産保証協会
(公社)首都圏不動産公正取引協議会
〒362-0001 埼玉県上尾市上76-6
フリーダイアル 0120-38-8086(さぁ ハーバル)
E-mail info@herbal-home.net
免許証番号 埼玉県知事免許(2)第22277号




















































