★こちらは上尾市における【土地】の販売事例集です。★
売れてしまった物件の情報って、なかなか調べられないものです。
便利ですので、是非ご活用下さいませ。
不動産(マンション・一戸建て・土地など)を
売りたいとき、買いたいとき、
物件価格/相場の目安として是非ご活用ください。
こちらではすでに成約してしまった物件について
販売事例として掲載しております。
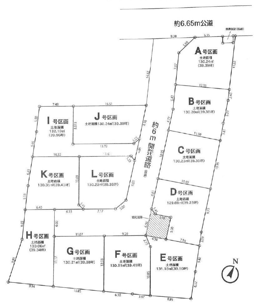
上尾市平塚: 39.9坪
Bt13407
物件所在地:上尾市平塚


交通 :JR高崎線・湘南新宿ライン・上野東京ライン北上尾駅 徒歩30分
坪単価 :38.33万円
土地面積 :131.93㎡(39.9坪)
用途地域 :工業地域
建ぺい率 :60%
容積率 :200%
接道状況 :一方
北西 協定道路 4.5m(接面)
特色 :公営水道、公共下水、プロパンガス、電気、建築条件なし
コメント :上尾市平塚の土地
「ハートフルタウン上尾上平公園1」
★全区画39坪以上!
★D区画前には協定道路部分がございます。D,E,F,G,Hの各区画にて共同所有することになる予定とのことでした
★敷地南東側には建物が無いため広々しています
★上平小学校、上平中学校のほか東小学校(1200m)、東中学校(900m)も選択可能です
★近隣の工場のせいなのか、偶然なのか、現地に初めて訪れた際、少々か化学物質の様な臭いがしました。すぐ慣れて分からなくなったのですが、過敏な方は現地で良くご確認なさって頂くと良いかも知れませんね
上尾市平塚エリアで現在販売中の売地を調べたいならこちら
上尾市平塚の売地
最終物件確認日:価格
2017/09/10 : 1,530万円
★オーナー様へ 「気を付けましょう!どんどん広告して欲しいのに不動産業者が勝手に広告を制限している場合があります」★
参考として成約前に確認できた最終価格を表示しております。
価格交渉などがあった場合、
記載された金額とは異なる場合がございますのでご了承くださいませ。
上尾市の不動産相場を、土地の広さで比べたい方は、
下記「表で探す」をご活用ください。
ハーバルホーム株式会社
所属団体
(公社)全日本不動産協会
(公社)不動産保証協会
(公社)首都圏不動産公正取引協議会
〒362-0001 埼玉県上尾市上62-13
フリーダイアル 0120-38-8086(さぁ ハーバル)
E-mail info@herbal-home.net
免許証番号 埼玉県知事免許(2)第22277号











